mksqen
16
Пон, Фев
0 Нови / 7 дена

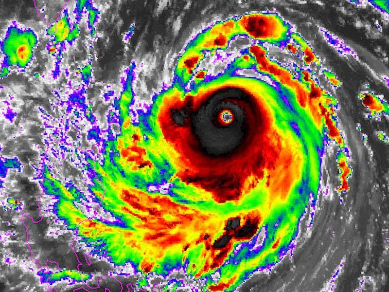
Супертајфунот Меранти го погоди Тајван

Супертајфунот Меранти го погоди Тајван

Типографија

Десетици илјади луѓе останаа без струја во Тајван по налетот на супертајфунот Меранти.

Бурата од петта категорија се смета за најсилна во светот досега во оваа година и таа беше проследена со ветрови со брзина од 216 километри на час.

Поради тајфунот училиштата беа затворени, летовите откажани, а институциите во земјата денеска нема да работат.

Се очекува супертајфунот да предизика поројни дождови и поплави. Неколку градови во источниот и јужниот дел на земјата се под закана од природната непогода, меѓу нив и Каосјон и Хуалиен.

Од Тајван Меранти ќе се насочи кон Кина, каде утре е предвидено дека ќе го погоди копното на провинциите Гуандун и Фуџијан.

BLOG COMMENTS POWERED BY DISQUS

Најпопуларни вести во категорија Свет